Dưới đây là thông tin chi tiết về cơn bão số 9: Bao giờ bão số 9 vào nước ta?, Bão số 9 đang ở đâu?, Diễn biến mới nhất bão số 9?, Hướng đi của bão số 9, Thời tiết ngày 22/9,…
Với sức gió duy trì lên tới 270km/h trong một khoảng thời gian ngắn, Ragasa trở thành cơn bão mạnh nhất trên Trái Đất kể từ đầu năm nay.
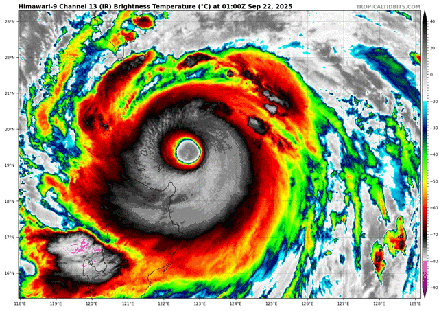
Theo Trung tâm Dự báo Khí tượng Thủy văn quốc gia, siêu bão Ragasa đang ở giai đoạn mạnh nhất và tiếp tục có xu hướng mạnh thêm. Vào sáng ngày 22/9, tâm bão cách đảo Luzon (Philippines) khoảng 230 km, sức gió vùng gần tâm bão đạt cấp 17 (tương đương khoảng 202–221 km/h), giật trên cấp 17. Dự báo tối nay bão sẽ đi vào Biển Đông, trở thành cơn bão số 9 của năm.
Hướng di chuyển của bão Ragasa.

Ảnh mây bão Ragasa lúc 8h ngày 22/9.
Diễn biến và đường đi dự báo của bão số 9
Ragasa di chuyển nhanh theo hướng Tây Tây Bắc/Tây Tây Nam, vận tốc khoảng 20 km/giờ. Trong 24 giờ tới, bão được dự báo giữ cường độ rất mạnh (cấp 16–17, giật trên cấp 17) khi còn ở trên biển.
Dự báo vào các ngày tiếp theo, bão có xu hướng suy yếu dần. Khoảng sáng sớm ngày 25/9 Ragasa dự kiến vượt khu vực bán đảo Lôi Châu (Trung Quốc) rồi tiến vào Vịnh Bắc Bộ, khi đó cường độ có thể còn cấp 12–14, giật cấp 15–16. Các tỉnh ven biển miền Bắc từ Quảng Ninh đến Hà Tĩnh có nguy cơ chịu ảnh hưởng trực tiếp.
Ảnh hưởng tại biển và trên đất liền nước ta
Dự báo thời tiết ngày 22/9/. Ảnh: Tuổi Trẻ.
Từ ngày 22/9, vùng biển phía Đông Bắc Biển Đông dự kiến có gió mạnh dần lên cấp 8–9, sau tăng lên cấp 10–14; vùng gần tâm bão gió mạnh cấp 15–17, giật trên cấp 17. Sóng biển rất cao, có nơi vượt 10 m, biển động dữ dội. Tàu thuyền trong khu vực nguy hiểm có nguy cơ rất lớn.
Trên đất liền, từ ngày 22/9 Bắc Bộ và cao nguyên Trung Bộ có mưa rào và dông rải rác, một số nơi mưa vừa đến rất to; từ Nghệ An đến Thừa Thiên–Huế, duyên hải Nam Trung Bộ và miền Đông Nam Bộ chiều tối có mưa dông cục bộ mạnh. Trong mưa dông cần đề phòng lốc, sét, mưa đá và gió giật mạnh.
TS. Hoàng Phúc Lâm, Phó Giám đốc Trung tâm Dự báo Khí tượng Thủy văn quốc gia nhận định, khoảng tối ngày 22/9 siêu bão Ragasa sẽ vào Biển Đông và có thể đạt cường độ cực đại cấp 16–17, giật trên cấp 17 trong 22–23/9 khi còn trên biển. Ông Lâm lưu ý bão có thể suy yếu dần sau đó nhưng vẫn có khả năng ảnh hưởng trực tiếp đất liền Việt Nam khi tiến vào Vịnh Bắc Bộ.
Bão số 9 gây mưa cho nhiều khu vực.
Khuyến cáo
Các tỉnh ven biển và hoạt động tàu thuyền cần theo dõi bản tin cảnh báo của cơ quan khí tượng, rà soát, di chuyển tàu thuyền ra khỏi vùng nguy hiểm và chuẩn bị phương án neo đậu an toàn.
Người dân ở khu vực có nguy cơ mưa lớn, sạt lở cần chủ động gia cố nhà cửa, chuẩn bị lương thực, thuốc men và phương án di dời khi có thông báo của chính quyền địa phương.